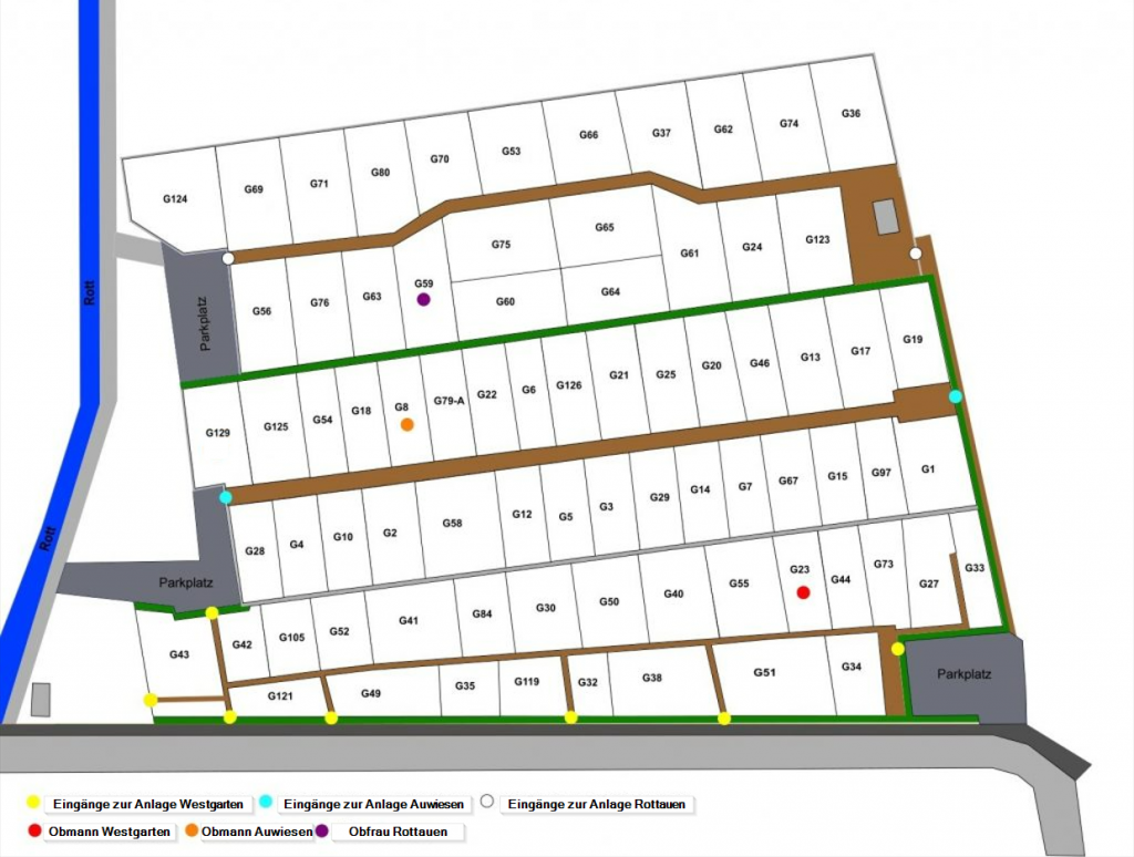
Auwiesen
31 Kleingärten zwischen 200 und 375 m²
Rottauen
22 Kleingärten zwischen 230 und 320 m²
Westgarten
23 Kleingärten zwischen 120 und 400 m²
Mahlgassing
38 Kleingärten zwischen 180 und 450 m²
Lageplan Auwiesen, Rottauen und Westgarten
Lageplan Mahlgassing
Impressum
-
Kleingärtnerverein Pfarrkirchen e.V.
Steinfeldweg 25
84347 Pfarrkirchen
+49 8561 988701
+49 172 4050283
dbergter2157@gmail.com
© 2022 | kleingarten-pfarrkirchen.de
